0000 Homecrest DrRoscommon Township, MI 48629


Mortgage Calculator
Monthly Payment (Est.)
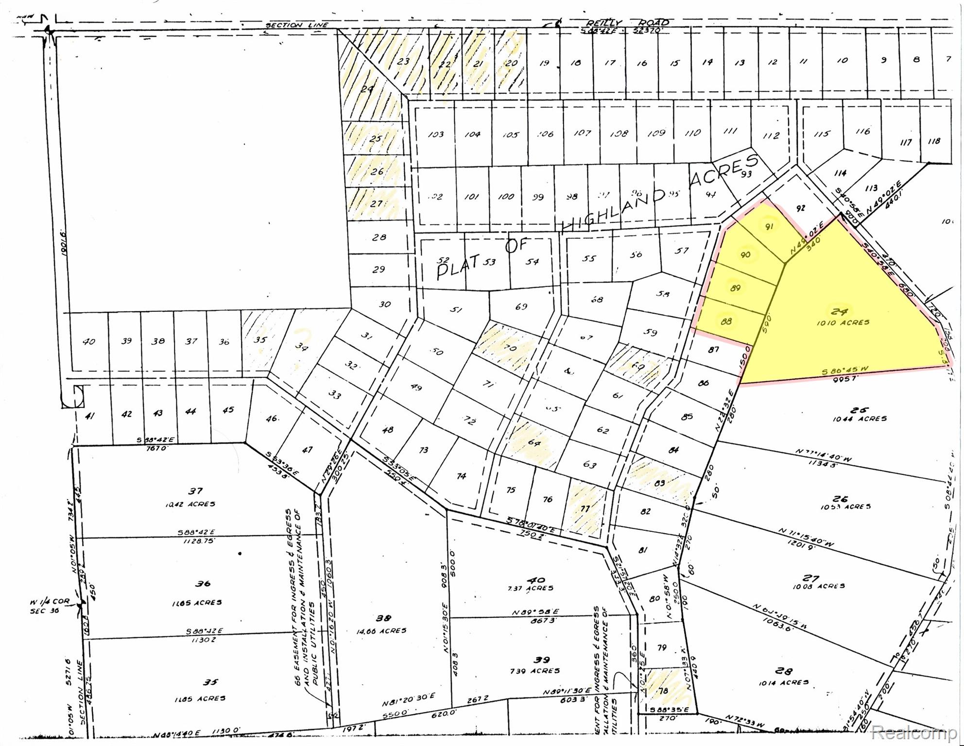
$36514-Acre Wooded Retreat in Northern Michigan Beautiful 14-acre wooded property in Highland Acres featuring one 10-acre parcel plus four separate 1-acre parcels, offering excellent flexibility for building or investment. Potential access from two streets provides multiple options for driveway placement and build sites. Surrounded by mature trees and abundant wildlife with great hunting opportunities. Direct access to over 200 miles of groomed snowmobile trails and close to Bear Mountain Ski Area. Just 3 miles from Houghton Lake and 7 miles from Higgins Lake for year-round recreation. Conveniently located approximately 2 1/2 hours from Detroit and 2 hours from Grand Rapids. Ideal for a home, cabin, or Up North getaway.
| 8 hours ago | Listing first seen on site | |
| 9 hours ago | Listing updated with changes from the MLS® |
IDX provided courtesy of Realcomp II Ltd. via RealcompIILtd. Copyright © 2025 Realcomp II Ltd. Shareholders.
IDX information is provided exclusively for consumers' personal, non-commercial use and may not be used for any purpose other than to identify prospective properties consumers may be interested in purchasing and that the data is deemed reliable but not guaranteed accurate by the MLS.


Did you know? You can invite friends and family to your search. They can join your search, rate and discuss listings with you.